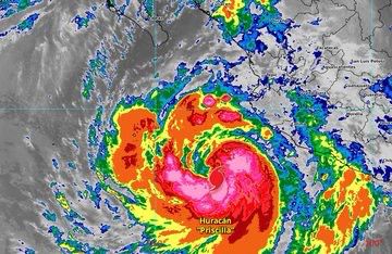
El huracán Priscila, categoría 1, avanza frente a la costa suroeste de México, generando lluvias torrenciales, vientos intensos y oleaje elevado en diversos estados del Pacífico mexicano. Actualmente con vientos sostenidos de hasta 140 km/h y rachas de 170 km/h, se espera que Priscila se intensifique a categoría 2 en las próximas horas.
Las regiones con mayor riesgo son Jalisco (sur), Colima, Michoacán (parte este y costa), Guerrero (suroeste y costa), Nayarit y el sur de Sinaloa, donde se pronostican lluvias puntuales intensas. Además, las costas de Jalisco, Colima y Michoacán enfrentarán oleaje elevado que puede poner en peligro a las comunidades costeras. Las autoridades han cerrado accesos a playas en Colima y mantienen vigilancia activa en zonas vulnerables.
En otras regiones del país, la interacción de la onda tropical 36 con la circulación ciclónica y la entrada de aire húmedo generará lluvias intensas en Quintana Roo, Campeche, Tabasco, Chiapas, Veracruz y Oaxaca, además de lluvias muy fuertes en Yucatán y Puebla. En Yucatán se esperan también tormentas eléctricas y periodos de lluvia durante los próximos días, por lo que se recomienda mantenerse alerta.
Protección Civil y CONAGUA llaman a la población a seguir las recomendaciones oficiales, mantener rutas de evacuación listas y evitar cruces de ríos o arroyos crecidos para prevenir riesgos de inundaciones y deslaves.
Ante la amenaza de Priscila, se recomienda a la población en las zonas afectadas tomar precauciones y mantenerse informados a través de fuentes oficiales.
