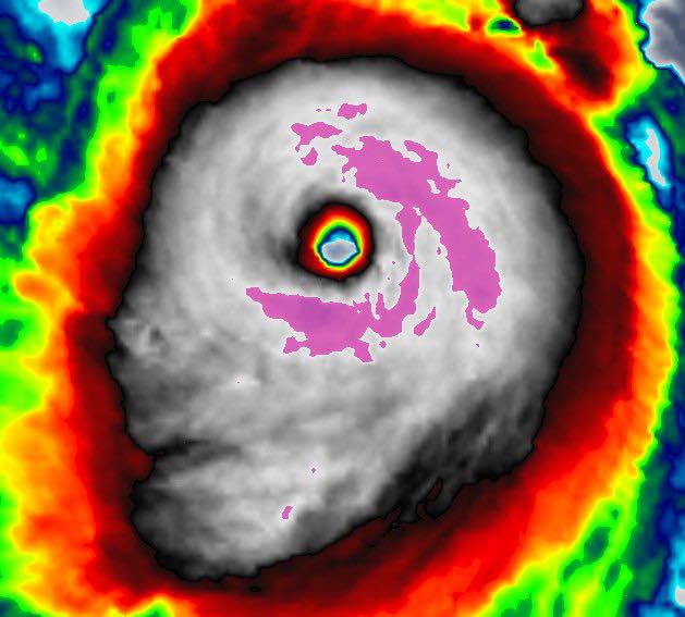
El huracán Milton está previsto para impactar la costa oeste de Florida entre la noche del miércoles y la madrugada del jueves. Aunque se ha degradado a categoría 4 este miércoles por la mañana, los meteorólogos del Centro Nacional de Huracanes (NHC) advierten que Milton seguirá siendo un huracán mayor cuando toque tierra, con efectos devastadores.
- octubre 10, 2024
¡Comparte esta publicación!
